Date de notre séjour: du 1er au 5 septembre 2016
Mon orteil fracturé me faisait encore mal, ce qui nous limitait beaucoup dans le choix des activités possibles. Après renseignements pris auprès de locaux, plusieurs personnes nous ont conseillé d’aller passer quelques jours à Santa Marta, ville balnéaire sur le bord de la mer des Caraïbes.
Après avoir consulté quelques photos, nous avons choisi d’aller un tout petit plus loin, dans la petite ville de Taganga. Cet endroit était, à son époque, devenu un lieu prisé des hippies. Par ailleurs, le lieu semblait réputé pour faire de la plongée.
Nous avons donc pris un mini-bus qui nous a amené de Carthagène jusque Taganga. Nous ne pouvons pas dire que nous sommes tombés amoureux de Taganga, mais nous y avons passé un agréable séjour.
La plage n’est franchement pas très jolie et il n’y a même pas de plage de sable qui invite à s’allonger, mais un sol assez dur. Après Providencia, nous étions forcément déçus de ce point de vue.

La plage ne fait pas trop rêver, non?
Nous avions choisi de séjourner dans un hôtel, mais nous occupions un véritable petit appartement avec terrasse qui était des plus agréables. Et, tous les jours, la minette de l’hôtel venait nous rendre visite et demander des câlins. Enfin, disons plutôt qu’elle venait demander à manger, et, comme elle état gentille et marrante, elle a finit par avoir ce qu’elle voulait: nous lui avons acheté une boite de thon.
Notre chambre
Coucher de soleil depuis notre balcon

La jolie minette qui nous rendait visite plusieurs fois par jour
Nous sommes immédiatement allés voir un club de plongée et nous avons demandé à suivre deux formations.
La première met l’accent sur la maîtrise de la flotabilité « Peak Performace Buoyancy », c’est à dire la maîtrise de son corps sous l’eau afin, par exemple, de pouvoir approcher et admirer un corail sans l’abîmer, ou de se faufiler avec aisance et précision.
Lors de notre première plongée, nous avons compris qu’on avait fait un bon choix de demander des cours plutôt que de faire des sorties balades: la visibilité était exécrable. Plein de particules en suspension empêchaient de voir à plus de 5m.
Notre moniteur était vraiment très bien, nous avons fait plusieurs exercices pratiques: se faufiler dans un tunnel composé de barres de métal, passer au milieu d’un carré métallique, s’arrêter de l’autre côté, porter assistance à son binôme (en l’occurrence Amandine, évidemment) tout en restant le plus statique possible, etc… ces exercices nous seront utiles, mais il nous reste encore à les approfondir par nous-même!
Nous avons ensuite continué avec la formation Nitrox ou Air Enrichi. En gros: en temps normal, on met dans une bouteille de plongée le même air que l’on respire habituellement (compressé, évidemment) qui contient le mélange oxygène/azote qui sont respectivement de 21% et 79%. On peut rajouter de l’oxygène ainsi augmenter plus ou moins le pourcentage de celui-ci et diminuer celui de l’azote. L’intérêt principal, c’est de permettre de pouvoir rester sous l’eau plus longtemps (tant qu’il reste de l’air dans la bouteille) et de diminuer le temps qu’on doit passer à la surface avant de pouvoir replonger.
Sans rentrer dans les détails et en simplifiant, quand on plonge, notre corps absorbe de l’azote et si le taux d’azote absorbé devient trop élevé, on met sa vie en danger. Des études scientifiques ont permis de déterminer le maximum qu’on peut passer sous l’eau (en fonction de la profondeur) sans se mettre en danger, et le temps qu’il faut passer en dehors de l’eau afin d’éliminer naturellement l’azote résiduel.
Nous avons donc effectué plusieurs plongées avec des taux d’oxygène différents.
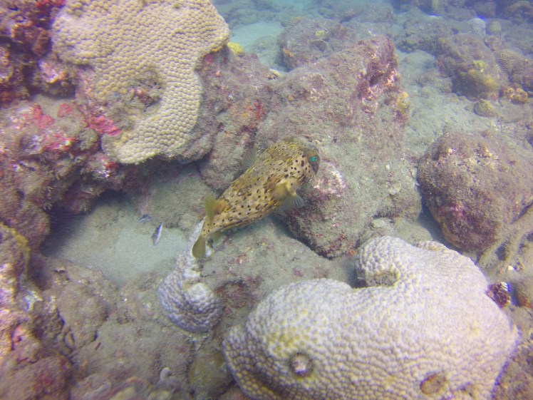
La dernière plongée que nous avons fait était vraiment très jolie, avec de nombreux poissons et coraux. Cependant, le courant était assez fort et nous avons terminé la remontée avec nos bouteilles pratiquement vidées (ben oui, plus on force pour avancer, plus on a besoin d’air et plus on vide les bouteilles). Par ailleurs, on nous a prêté des ordinateurs qui assistent le plongeur (signalant le temps passé sous l’eau, les profondeurs, le temps à respecter pour le palier de décompression de sécurité) et nous avons pu nous rendre compte de l’utilité de cet outil. Bref, il faudra qu’on en achète!








Amandine prépare le matériel: elle note son nom et le pourcentage d’oxygène mesuré

Nous avons terminé notre formation et la Colombie nous aura fait considérablement augmenter le nombre de plongées que nous avons fait depuis que nous avons commencé: 39 pour Amandine et 35 pour moi-même, avec 3 certifications en plus!
Bref, vous l’aurez compris, à Taganga, nous n’avons pas fait grand chose d’autre que de plonger! à quelques heures de route, se trouvait néanmoins Macondo. Du moins, c’est son nom officieux. Il s’agit du village qui aurait inspiré et où se déroulerait l’histoire du merveilleux livre Cent Ans de Solitude de l’une des icônes colombiennes: Gabriel Garcia Marquez. Si vous n’avez pas lu ce chef d’œuvre (prix nobel de littérature…), je vous le recommande grandement. J’avais bien envie d’y aller, mais c’était assez compliqué car ça impliquait plusieurs heures de route. Au final, je me suis dit tant pis…
Notre séjour terminé, il nous restait à revenir au Pérou, à Cusco, l’ancienne capitale et ville la plus sacrée des Incas. Un record: nous avons pris 3 avions dans la même journée!!! le premier, de Santa Marta vers Bogota, puis Bogota à Lima et enfin Lima à Cusco où nous sommes arrivés en début de soirée. De là, il ne nous reste plus qu’à visiter la Vallée Sacrée et ses nombreuses magnifiques ruines. Là encore, ce sera ma deuxième fois pour moi et j’espérais transmettre ma fascination et ma passion de cet endroit à Amandine.


